ขายบ้านเดี่ยว 1 ชั้น ในโครงการนรีพลู 2 ราคา 5.39 ล้านบาท ในอำเภอหัวหิน บ่อฝ้าย-สมอโพรง-คลองชลประทาน - หัวหิน - หัวหิน
หน้าแรก
ซื้อบ้านมือสอง
ขายบ้านเดี่ยว-1-ชั้น-ในโครงการนรีพลู-2-ราคา-5.39-ล้านบาท-ในอำเภอหัวหิน
มือสอง
ขาย
บ้าน
เหลือขาย

ขายบ้านเดี่ยว 1 ชั้น ในโครงการนรีพลู 2 ราคา 5.39 ล้านบาท ในอำเภอหัวหิน

บ่อฝ้าย-สมอโพรง-คลองชลประทาน - หัวหิน - หัวหิน
บ่อฝ้าย-สมอโพรง-คลองชลประทาน - หัวหิน - หัวหิน
฿5,390,000
เข้าชม 13 ครั้ง

ข้อมูลเบื้องต้น

ประเภท

บ้าน

ห้องนอน

3

ห้องน้ำ

3

ชั้น

1

ที่จอดรถ

1

ขนาดที่ดิน

70 ตร.วา

พื้นที่ใช้สอย

199 ตร.ม.

สถานะผู้อยู่อาศัย

ว่าง

รหัสประกาศ

42002S20G2B00792

รายละเอียดอื่น ๆ

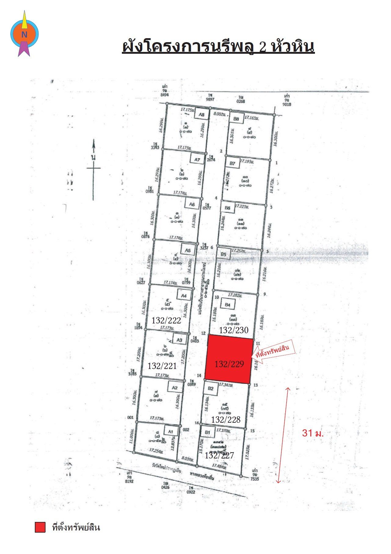
ขายบ้านเดี่ยว 1 ชั้น ในโครงการนรีพลู 2 ราคา 5.39 ล้านบาท ในอำเภอหัวหิน

เนื้อที่ : 0-0-70 ไร่

ที่ตั้ง : 132/229 ซอย ถนนภายในโครงการฯ ถนน บ้านบ่อฝ้าย ต.หัวหิน อ.หัวหิน จ.ประจวบคีรีขันธ์

ผู้ใช้ประโยชน์ : ไม่มีผู้ใช้ประโยชน์ในอำเภอทรัพย์

เลขที่เอกสารสิทธิ์ : -

รายละเอียดเลขที่เอกสารสิทธิ์ : -

หมายเหตุ : -


สามารถเลือกค้นหาข้อมูล ประกาศขายบ้านในประจวบคีรีขันธ์ เพิ่มเติมได้ที่ เว็ปไซต์น่าอยู่